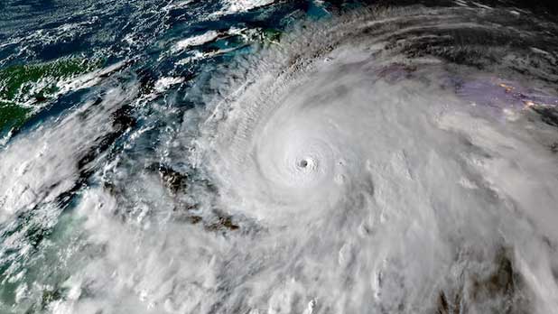
Hurricane Melissa Batters Jamaica as Category 5 Storm
Jamaica is bracing for the impact of Hurricane Melissa, a Category 5 storm with maximum sustained winds of 185 mph. The National Hurricane Center (NHC) has warned of “catastrophic winds, flash flooding, and storm surge” as the storm makes landfall.
Current Situation:
- The NHC has issued a Hurricane Warning for Jamaica, with hurricane conditions expected to begin soon.
- The storm’s slow movement is expected to bring prolonged periods of heavy rain, strong winds, and coastal flooding.
- At least seven deaths have been reported in Haiti, the Dominican Republic, and Jamaica due to the storm ¹ ².
Projected Path:
- Hurricane Melissa is expected to move over Jamaica and southeastern Cuba as an extremely dangerous major hurricane.
- The storm will then move across the southeastern Bahamas, still as a strong hurricane.
- The NHC does not expect the storm to affect the U.S. mainland.
Preparations and Evacuations:
- The Jamaican government has activated its emergency operation center and emergency generators.
- Mandatory evacuations have been ordered for parts of southern Jamaica, including the historic town of Port Royal.
- Over 800 shelters have been set up for evacuees, with essential items such as tarpaulins, hygiene kits, blankets, and safe drinking water pre-positioned.
Impact and Warning:
- The NHC warns of “catastrophic flash flooding and landslides” in Jamaica and the southern Dominican Republic.
- Storm surges of up to 10 feet above normal high tide are expected, with water heights forecast to reach 7-11 feet above ground level during the peak of the storm.
- Residents are advised to take immediate action and seek shelteR
Hurricane Insurance Claim Guide and Tips
Hurricanes can cause catastrophic damage to your home and property, making it essential to understand your insurance coverage and the claims process. Here are some valuable tips to help you navigate the process:
Understanding Your Insurance Policy
- Wind Damage: Standard homeowners insurance typically covers wind damage caused by hurricanes, including damage to your roof or siding.
- Flood Damage: Flood insurance is usually separate from standard homeowners insurance and covers damage caused by flooding, storm surges, or water that rises from the bottom up.
- Deductibles: Hurricane deductibles are often a percentage of your home’s insured value, not a flat dollar amount. For example, if your home is insured for $250,000 and your hurricane deductible is 2%, you’ll need to pay the first $5,000 of any hurricane damage ¹ ².
Preparing for a Hurricane
- Review Your Policy: Check your insurance policy to ensure it’s active and understand what it covers, including deductibles and coverage limits.
- Get Flood Insurance: If you live in a flood-prone area, consider purchasing flood insurance to protect your property.
- Document Your Property: Take photos and videos of your property, including interior and exterior, to document its condition before the storm ³.
Filing a Claim
- Contact Your Insurance Company: Notify your insurance company as soon as it’s safe to do so.
- Document Damage: Take photos and videos of the damage, and keep receipts for temporary repairs and living expenses.
- Work with an Adjuster: An adjuster will assess and validate your claim. Be prepared to provide documentation and evidence to support your claim.
- Keep Track of Expenses: Keep receipts for temporary repairs, living expenses, and other related costs ¹.
Tips for a Successful Claim
- File Your Claim Promptly: Most insurance policies require you to file a claim within a certain timeframe, often within a week or two.
- Keep Detailed Records: Document all correspondence with your insurance company, including dates, times, and details of conversations.
- Seek Professional Help: If you’re having trouble with your claim, consider hiring a public adjuster or attorney to help negotiate with your insurance company.
Additional Resources
- National Association of Insurance Commissioners: Provides resources and guidance on insurance claims and policyholder rights.
- Federal Emergency Management Agency (FEMA): Offers assistance with disaster relief and insurance claims.
- State Insurance Department: Contact your state insurance department for guidance on insurance claims and policyholder rights in your area ².
By understanding your insurance policy, documenting your property, and following these tips, you can ensure a smoother claims process and receive the compensation you deserve
